Property
Beds
None
Full Baths
None
1/2 Baths
None
Year Built
None
Lot size
N/A
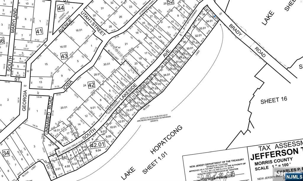
Own a prime boat slip on New Jersey’s largest lake before Memorial Day Weekend. Located on S. Lakeside Ave (Block 42.01, Lot 35), this 30.9' x 111.28' lot offers riparian rights in Lake Hopatcong, Jefferson Twp, Morris County. It includes 1 boat lift and 2 parking spots (1 full and 1 compact) for convenient access. Enjoy secure, hassle-free docking in a protected no-wake zone, ensuring your boat stays steady without being rocked by wakes. The 3-foot-wide, 39-foot-long dock runs through the center of the parcel, featuring two water entries and flexible tie-ups for up to 4 boats or 2 boats plus jet skis.With 4 feet of water depth, docking is easy in and out. For those with larger boats that can’t clear Brady Road Bridge, this location provides unrestricted access to the bigger side of the lake. Lakeview Marina is directly across the water, and two fuel stations are visible from the slip. No known lake dues.Boat season is here don’t miss out on this prime spot!This is not a buildable lot.
Features & Amenities
Interior
-
Total Bedrooms
N/A
-
Bathrooms
N/A
-
Pet friendly
N/A
Exterior
-
Garage
No
-
Pool
No
-
Waterfront YN
YES
Area & Lot
-
Property Type
Land
Price
-
Sales Price
$189,000
-
Zoning
Commercial
-
Sq. Footage
N/A
-
Price/SqFt
N/A
HOA
-
Association
No
School District
-
Elementary School
N/A
-
Middle School
N/A
-
High School
N/A
Schedule a Showing
Showing scheduled successfully.
Mortgage calculator
Estimate your monthly mortgage payment, including the principal and interest, property taxes, and HOA. Adjust the values to generate a more accurate rate.
Your payment
Principal and Interest:
$
Property taxes:
$
HOA fees:
$
Total loan payment:
$
Total interest amount:
$
Location
County
MORRIS
Elementary School
Middle School
High School
Listing Courtesy of Melissa N. Bevacqua , Signature Realty NJ LLC
RealHub Information is provided exclusively for consumers' personal, non-commercial use, and it may not be used for any purpose other than to identify prospective properties consumers may be interested in purchasing. All information deemed reliable but not guaranteed and should be independently verified. All properties are subject to prior sale, change or withdrawal. RealHub website owner shall not be responsible for any typographical errors, misinformation, misprints and shall be held totally harmless.
FOUNDER
Patrick Bolger
Call Patrick today to schedule a private showing.
* Listings on this website come from the FMLS IDX Compilation and may be held by brokerage firms other than the owner of this website. The listing brokerage is identified in any listing details. Information is deemed reliable but is not guaranteed. If you believe any FMLS listing contains material that infringes your copyrighted work please click here to review our DMCA policy and learn how to submit a takedown request.© 2024 FMLS.